AAU Herbarium Database

New Search   Modify Search

Collector Balslev, H.
Number 11579
Collected with Manop Poopath, Natcha Sutjaritjai, Wirata Rujichaipimon, Pornchai Kladowong, Preecha Karaket, Sukid Ruengruea, Tanawat Teeranan, Kunanon Daonurai, Kanitima Suwannawat, Theerawat Thonanthaisong, Yosita Sattasen, Watcharin Puntunakin, Manus Yisarkun, Wittawat Sriprasom, Stella Sylva.
Country Thailand
Subpart Trat
County  
Locality Khlong Phlu waterfall national park camp. Tropical rainforest along entrance to nature trail.
Coordinates 12° 3' 43'' N 102° 18' 32'' E
Minimum elevation (m) 40
Maximum elevation (m) 40
Start date 2024/05/18
End date 2024/05/18
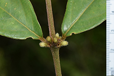
Family Rubiaceae
Identification Lasianthus
Determined by  
Identification qualifier  
Field notes Shrub 1 m tall.

This record
Other records of Lasianthus

The map displays only records from the Aarhus Herbarium Database.
The records may not represent the full distribution of Lasianthus

New Search   Modify Search