AAU Herbarium Database

New Search   Modify Search

Collector Balslev, H.
Number 11259
Collected with Manop Poopath, Natcha Sutjaritjai, Pornchai Kladwong, Wirata Rujichaipimon, Birgitte Bergmann, Chanittha Seesawang,Tanawat Teeranan, Nophadol Phoemphoen, Kantima Suwannawat, Anupong Tinnavan, Nathawan Suphuntee & Sumalee Somngam.
Country Thailand
Subpart Trat
County  
Locality Koh Chang. Huang Nan Kaeow river above planned dam in construction. Evergreen forest. Steep slopes toward 20 m wide river
Coordinates 12° 2' 38'' N 102° 18' 45'' E
Minimum elevation (m) 66
Maximum elevation (m) 66
Start date 2023/08/04
End date 2023/08/04
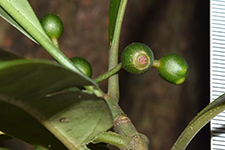
Family Rubiaceae
Identification Psychotria asiatica L.
Determined by  
Identification qualifier  
Field notes Shrub, 3 m tall

This record
Other records of Psychotria asiatica

The map displays only records from the Aarhus Herbarium Database.
The records may not represent the full distribution of Psychotria asiatica

New Search   Modify Search