AAU Herbarium Database

New Search   Modify Search

Collector Balslev, H.
Number 11052
Collected with Manop Poopath, Wolf Eiserhardt, Anupong Tinnavan, Wirata Rujichaipimon, Natcha Sutjaritjai, Adisak Raksujirak, Namthawan Suphuntee, Suåkontip Sirimongkol, Anecha Chiangreang, Chanittha Seesawang, Perasin Thaotawin, Oscar Balslev Wrisberg, Witoon Srisalaeng
Country Thailand
Subpart Trat
County  
Locality Koh Chang. Trail to Klung Phlu waterfall. Evergreen moist forest and rocky river. Above the waterfall.
Coordinates 12° 4' 7'' N 102° 18' 51'' E
Minimum elevation (m) 109
Maximum elevation (m) 109
Start date 2023/03/12
End date 2023/03/12
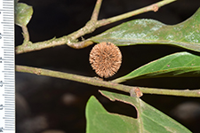
Family Euphorbiaceae
Identification Chaetocarpus
Determined by  
Identification qualifier  
Field notes Tree 10 m, 15 cm diam.

This record
Other records of Chaetocarpus

The map displays only records from the Aarhus Herbarium Database.
The records may not represent the full distribution of Chaetocarpus

New Search   Modify Search